What is the airport identifier
KONA
what are the visibility and cloud clearance requirements for class A airspace
None
What is required to enter class D airspace
Two way radio communication
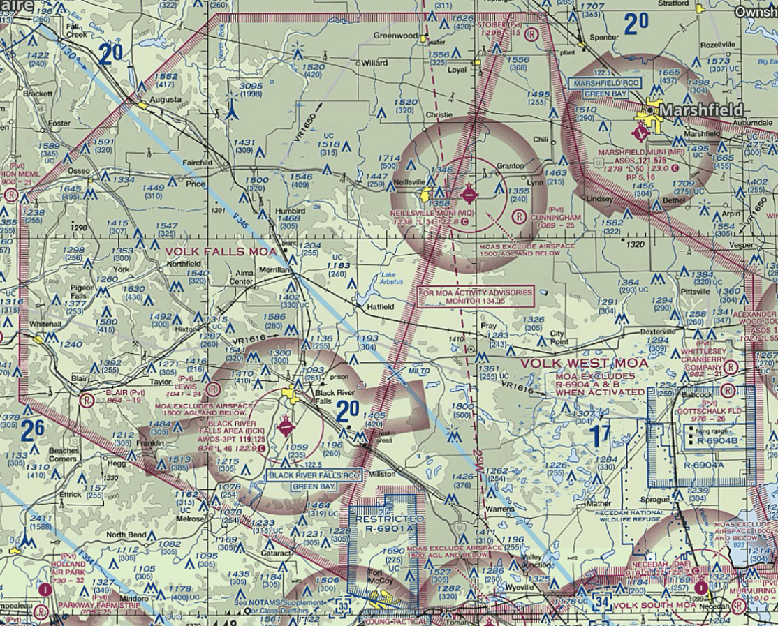
What is the red hatched area?
an MOA
What is this called

METAR
How do you find the red highlighted section?

multiply Weight and Arm
what is the airport AWOS frequency and CTAF frequency? Bonus- what does AWOS and CTAF stand for?
AWOS (Automated Weather Observing System)- 118.075 CTAF (Common Traffic Advisory Frequency) -122.8
what are the visibility and cloud clearances for class B airspace
3 SM visibility and clear of clouds
What is required to enter class C airspace
Mode C transponder, ADS-B out, and two-way radio
communication
What does the magenta vignette mean

Lowers class E airspace from 1200AGL to 700 ft AGL
what does DZ mean?
Drizzle
How do you find the red highlighted area?
Add the respective columns
What does the *L mean
pilot controlled lighting
What are the visibility and cloud clearances for class E airspace below 10,000 ft
3 SM visibility for altitudes
5 SM for altitudes above 10,000 ft MSL, 2,000 ft horizontal, 1,000 ft above, 500 ft below
What is required to enter class A airspace
mode C transponder, ADS-B out, ATC clearance, maintained two way radio communication, and an instrument flight plan is required to enter.
what does does the bold 24?

The height of the tallest obstacle in the Quadrant
what does RA mean
Rain
How do you find the red highlighted area?
Divide Moment over Weight
what does 57 mean

Length of the longest runway in thousands of feet
What are the visibility and cloud clearances for class E airspace above 10,000 ft
5 SM , 2,000 ft horizontal, 1,000 ft above, 500 ft
what does this mean
a tower less than 1,000 ft
What does SCT mean
scattered clouds
what is the total weight with units?
1528 lbs
What does RP 30 mean
right pattern for runway 30
What are the all the visibility and cloud clearances for class G airspace during the Day?
Below 1,200 ft AGL (Day)- 1 SM visibility and clear of clouds
1,200-10,000 ft AGL (Day)- 1 SM visibility and 2,000 ft horizontal, 1,000 ft above, 500 ft below clouds
what is this 
a tower that is taller than 1,000 ft
what does BR mean
Mist
what are METARs for?
they provide continuous and up to date weather information to pilots
what is the total Moment with units?
110609.5 in/lbs
What does the filled in Magenta circle with a star mean
Paved, non-towered, public use airport with a beacon and lighting
What are the all the visibility and cloud clearances for class G airspace at Night?
Bonus- what are the requirements above 10,000 feet
3 SM visibility and 2,000 ft horizontal, 1,000 ft above, 500 ft below clouds
Above 10,000 ft AGL- 5 SM visibility and 1 SM horizontal, 1,000 ft above, 500 ft below clouds
what do the bold number mean

Height above sea level
Read this 
KMCD- airport name, 25- day, 0256Z- time issued AUTO- came from automated source, 32008KT- wind direction and speed (320 ° at 8 KT)
What is a TAF?
reports established for the five statute mile radius around an airport. TAF reports are usually given for larger airports. Each TAF is valid for a 24 or 30-hour time period
what is the total Arm with units?
72.39 in